Published on July 1, 2011
LEASE
THIS LEASE is entered into this 5th day of September, 2007, by and between McAllen Properties, LLC, hereinafter referred to as “Landlord” and Cellectar, LLC, hereinafter referred to as “Tenant.”
WITNESSETH:
1. Leased Premises. Landlord, for and in consideration of the rents to be paid by Tenant, and the conditions, provisions, reservations and stipulations herein contained, does hereby:
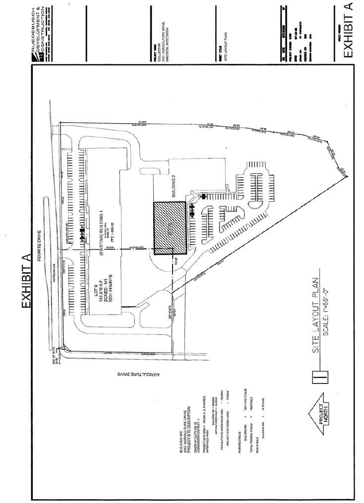
(a) Demise, lease and let unto Tenant approximately 16,100 square feet of floor space (measured from the exterior wall of the building to the centerline of the demising walls) (the “Leased Premises”) of the building located at 3301 Agriculture Drive, Madison, Wisconsin (the “Building”). (The Building, the land upon which it is situated, and the Common Areas (as defined below) are hereinafter referred to as the “Property.”) The Property is shown on the Site Layout Plan attached hereto and made a part hereof as Exhibit A. The Leased Premises are shown on the Floor Plan attached hereto and made a part hereof as Exhibit B.
|
|
(b)
|
Grant to Tenant for the term of this Lease a nonexclusive right of its
|
customers, invitees and employees, to use the driveways, walkways and parking areas located on the Property, for purposes of pedestrian and vehicular ingress, egress and parking. Landlord warrants that the parking areas will be sufficient to provide no less than thirty (30) parking stalls for use by Tenant’s employees.
2. Term. Tenant shall have and hold the Leased Premises for a three (3) year term commencing from and after the Rent Commencement Date (defined below). The lease year shall be set by reference to the twelve-month period which commences on the Rent Commencement Date.
3. Base Rental. Tenant shall pay to Landlord a base rent equal to $6.00 per square foot of the Leased Premises, per annum (the “Base Rent”), payable in twelve (12) equal monthly installments of Eight Thousand Fifty Dollars ($8,050) which monthly installments shall be paid in advance commencing on September 15, 2007 (the “Rent Commencement Date”) and continuing on the first day of each and every month thereafter throughout the term. Thereafter, commencing on the second anniversary of the Rent Commencement Date and continuing on each successive one year anniversary thereafter, the Base Rent shall increase to an amount equal to one hundred three percent (103%) of the previous annual Base Rent.
Rent for any partial calendar month during the term of this Lease shall be pro-rated based on the number of days during such period. The rent for the month of September, 2007, shall be due on the Rent Commencement Date.
- 1 -
4. Options to Extend. Tenant shall have the right, at its option, to extend the term of this Lease for seven (7) additional terms of two (2) years each. To effectively exercise each option, Tenant must give written notice to Landlord at least six (6) months prior to the end of the original term, or the extended term, if applicable, and Tenant shall not be in default of its obligations under this Lease at the time the option is exercised and at the end of the original term or extended term, as applicable. If Tenant elects to extend this Lease, all the terms and conditions hereof shall be the same during the extended term(s) except for: (a) the Base Rent provided for under paragraph 3 above, which shall be increased at the beginning of each year of an extended term to an amount equal to one hundred three percent (103%) of the then effective Base Rent, and (b) Tenant shall have no option to extend this Lease beyond the seven (7) additional terms provided for in this paragraph 4.
5. Expandable Square Feet. Tenant agrees to lease and Landlord agrees to lease to Tenant, commencing on the Rent Commencement Date, the adjacent 3,416 square feet of floor space shown on the Floor Plan attached hereto and made a part hereof as Exhibit B, for an additional $4.00 per square foot. Landlord shall, on the Rent Commencement Date, deliver such adjacent space in a “white-box” condition pursuant to the specifications agreed to by the parties and described in Exhibit C, attached hereto and made a part hereof. The rental rate for the adjacent space includes the taxes, insurance and CAM charges. Tenant will be responsible for heating of this space to prevent the sprinkler system from freezing. In addition, Tenant will pay all utility costs charged to this space. Tenant may at its sole cost build-out this adjacent space with the written approval of Landlord, which Landlord shall not unreasonably withhold, condition, or delay. In the event that Tenant (or any subtenant of Tenant) builds-out this adjacent space, Landlord will provide Tenant with a credit toward the cost of such build-out by either promptly paying to Tenant, or directly paying to Tenant’s contractor, the initial Nine Thousand One Hundred Fifty Dollars ($9,150) of Tenant’s (or such subtenant’s) expenses toward such build-out. All terms and conditions of this Lease, other than provisions regarding the payment of rents and the build-out of such space, shall apply to the lease of this adjacent space as if it were included within the definition of the Leased Premises; provided, however, that once Tenant has built-out this adjacent space and Tenant’s personnel have begun to occupy such space, then the rent for this adjacent space shall be adjusted to the same annual rate per square foot then applicable to the Leased Premises, together with an Allocable Percentage of the Shared Expenses for this adjacent space determined in the same manner as Shared Expenses for the Leased Premises, and all of the foregoing shall be paid in installments due at the same time as the payments of monthly rent and Shared Expenses for the Leased Premises.
6. Repair and Maintenance. Tenant agrees to make and pay for all necessary repairs and for redecorating the Leased Premises (other than the Landlord’s Work, defined below) after commencement of the Lease term at its expense and to keep the Leased Premises in as good repair and condition as existed as of completion of the Landlord’s Work, including the maintenance, repair and replacement of all fixtures, heating, air-conditioning, plumbing and electrical equipment installed as part of Landlord’s Work that service only the Leased Premises, excepting only ordinary wear and tear and those items for which Landlord is responsible as hereafter stated, and further provided that any such fixtures or equipment required to be replaced by Tenant may be replaced with functioning and serviceable used fixtures or equipment that have a remaining useful life consistent with fixtures or equipment that are the same age as the fixtures or equipment being replaced. Landlord shall cause any warranties applicable to these improvements to be transferred to Tenant. Tenant agrees to keep the Leased Premises free of dirt and rubbish, and will provide for prompt removal thereof. If Tenant contracts with a rubbish removal company, and Landlord provides a dumpster enclosure, it is Tenant’s responsibility to keep the dumpster within the enclosure at all times. Tenant shall replace or repair any damaged exterior windows or doors of the Leased Premises with materials of the same size and quality. In addition, Tenant shall be responsible for upkeep and the cost of correcting any violations of the applicable governmental laws and regulations (including without limitation, the Americans with Disabilities Act) with respect to the Leased Premises. Landlord shall be responsible for necessary structural repairs and replacement to the roof and foundation of the Building, and for maintenance of those components of the water, plumbing and electrical systems that serve areas of the Building other than the Leased Premises including the Common Areas, excepting those repairs necessitated by damage caused by Tenant or Tenant’s invitees. Landlord shall also be responsible for all damage caused by the negligent, willful or intentional misconduct of the Landlord or Landlord’s agents. Landlord shall also perform such maintenance and make such replacements and repairs to the Common Areas (defined below) as are necessary to maintain the same in good, clean, and safe condition.
- 2 -
7. Electricity, Gas, Water and Sewer; Telephone. Landlord represents and warrants that all “Utilities” to the Building, consisting of electricity, gas, sewer and water, as well as heating and cooling, shall be metered separately from those to the Leased Premises. Tenant shall pay such of the Utilities as are metered to the Leased Premises to the provider as billed. Tenant shall be responsible for all telephone charges and telephone expenses incurred in respect to the Leased Premises.
8. Shared Expenses. The Leased Premises is part of the Building, and the following sub-paragraphs (a) [taxes], (b) [special assessments], (c) [insurance], and (d) [common area maintenance] (sub-paragraphs (a)-(d) collectively, the “Shared Expenses”) make reference to an “Allocation Percentage” whereby some of the expenses covered by such sub-paragraphs are allocated to the Leased Premises. The parties agree that the Allocation Percentage shall be determined by the provider of the items being allocated in cases where such provider in the ordinary course determines charges separately for the Leased Premises; in all other cases, the Allocation Percentage shall be determined on a square-foot basis. The parties agree that the entire Building comprises approximately 45,335 square feet, and the Leased Premises comprises approximately 16,100 square feet. Therefore, Tenant’s Allocation Percentage for the Leased Premises equals 35.51%.
The total amount of Shared Expenses shall be estimated in advance by Landlord for each calendar year. Tenant shall timely pay as Additional Rent the then-current assessment of the Shared Expenses allocable to the Leased Premises, as determined by the Allocation Percentage. For the purposes of calculating the initial year’s assessment, the assessment is $2.00/square foot. Tenant shall timely pay the then-current assessment until notified of any adjusted assessment. Such assessment shall be paid by Tenant each and every month in installments of one twelfth (1/12) of the assessment. Within ninety (90) days of the conclusion of each calendar year, Landlord shall account for the amount of actual Shared Expenses for that calendar year, and any assessments collected by Landlord in excess of the actual amount of the Shared Expenses shall be credited to Tenant; and any shortage assessed to Tenant shall become due within (10) days of notification. If the term of this Lease commences or ends at any time other than the first day of a calendar year, Tenant shall be responsible for a prorated portion of that calendar year’s estimated Shared Expenses, said pro-ration to be on a daily basis.
- 3 -
(a) Taxes. Tenant shall each and every month pay, as Additional Rent, an assessment of the estimated real estate taxes levied against the Property which is allocable to Tenant as determined by the Allocation Percentage. Real estate taxes shall be estimated on the basis of the real estate taxes for the next preceding tax year.
(b) Special Assessments. If Landlord receives a municipal special assessment relative to the Property, Tenant shall pay to Landlord that part of the special assessment which is allocable to Tenant according to the Allocation Percentage. Tenant shall either pay its allocable share of special assessments in full within thirty (30) days of the date of notice from Landlord, or if offered by the assessing authorities, Tenant may, at its option, pay its allocable portion of a special assessment on the installment basis, together with applicable interest (charged by the assessing authority) attributable to said portion, as said installments become due and prior to delinquency, provided that any balance owing of Tenant’s allocable share on the first day of the last month of the Lease term shall then be due and payable in full.
(c) Insurance. Tenant shall keep in effect, at its sole expense, a comprehensive general liability policy or policies, naming Landlord as an additional insured, covering Tenant’s operations in the Leased Premises and providing coverage for bodily injury and property damage sustained in, or upon the Leased Premises, with a limit of at least One Million Dollars ($1,000,000) per occurrence. Tenant shall also maintain fire insurance with extended coverage covering all of Tenant’s equipment, fixtures, merchandise, and other property located within the Leased Premises, including the interior decorating installed by Tenant or constituting Tenant’s Work, in an amount equal to one hundred percent (100%) of its replacement value. Evidence of such insurance shall be provided by Tenant to Landlord prior to Tenant’s occupancy of the Leased Premises, and from time to time thereafter, as Landlord may request. Landlord shall maintain fire and extended coverage insurance covering the Building, including the improvements to and (if any) equipment in the Leased Premises that remain the property of Landlord upon termination of the Lease, or that would be required to be removed by Tenant, as described on Exhibit E, in an amount equal to one hundred percent (100%) of the replacement value of the Building and such improvements and equipment, with such coverage as it deems desirable. Any insurance required herein to be maintained by a party shall name the other party as an additional insured, as their respective interests may appear. Tenant agrees to pay, as Additional Rent, its allocable portion, according to the Allocation Percentage, of any premium rates of insurance carried by Landlord on the Building.
Each party hereby releases the other from liability it may have on account of any loss to the Leased Premises or Property or contents of either due to fire or any peril included in the coverage of any applicable fire and extended coverage and material damage insurance, however caused, including such losses as may be due to the negligence of the other party, its agents or employees, but only to the extent of any amount recovered by reason of such insurance, and each party hereby waives any right of subrogation which might otherwise exist in or accrue to such party on account thereof, provided that such release of liability and waiver of the right of subrogation shall not be operative in any case where the effect thereof is to invalidate such insurance coverage under applicable state law (or increase the cost thereof, unless the other party reimburses the insured for any cost increase, or in the case of a cost increase to Landlord, the Tenant’s Allocation Percentage of the cost increase). If either party fails to maintain in force any insurance required by this Lease to be carried by it, then for purposes of this waiver of subrogation it shall be deemed to have been fully insured and to have recovered the entire amount of its loss. All property insurance required to be maintained under this sub-paragraph shall include a waiver of subrogation clause.
- 4 -
(d) Common Area Maintenance and General Administrative Expense. Tenant shall pay to Landlord, as Additional Rent, its allocable portion, as determined by the Allocation Percentage, of all costs and expenses incurred by Landlord in operating and maintaining the “Common Areas,” which term shall include the parking areas, driveways, sidewalks, walkways, and all other areas and facilities which are available for use by Property occupants, their customers, invitees and employees. Such costs and expenses shall include, but not be limited to snow removal, landscaping, janitorial service, parking lot and walkway lighting, security patrol services, and fire protection system maintenance with respect to the Common Areas. Such expenses shall also include the cost of keeping all portions of the Common Areas in good repair and condition, excluding those structural repairs which are described in this Lease as Landlord’s specific responsibility.
Tenant further agrees to pay to Landlord, as Additional Rent, a General Administrative Expense equal to five percent (5%) of Tenant’s proportionate share of the foregoing Common Area Maintenance costs.
Notwithstanding the foregoing, the following expenses shall not be reimbursable by Tenant to Landlord in connection with Landlord’s maintenance of the Common Areas: (i) costs of capital improvements to the Leased Premises or the Building or Property; (ii) any cost or expenditure (or portion thereof) for which Landlord is directly reimbursed, whether by insurance proceeds (or which would have been paid if Landlord carried the insurance required herein, or for which Landlord would have been paid but for Landlord’s failure to file a claim against the insurance required herein to be carried by Landlord) or otherwise; (iii) costs of correcting any violations of applicable governmental laws and regulations (including, without limitation, the Americans with Disabilities Act) with respect to the Building other than the Leased Premises; (iv) any costs incurred due to the negligent acts or omissions or willful or intentional misconduct of the Landlord, its agents, or their respective employees; (v) any amounts paid to Landlord or to subsidiaries or affiliates of Landlord for goods supplied to the Property or services in the Property to the extent the same exceed the costs of such goods or services rendered by unaffiliated third parties on a competitive basis; (vi) expenditures for repairs or maintenance which are covered by warranties, guarantees or service contracts; (vii) structural repairs and replacements of the Building that are in the nature of capital improvements (including the roof, the foundation, and the exterior of the Building); or (viii) any items of expense commonly known and understood to be carrying charges.
- 5 -
9. Alterations.
(a) Tenant’s Work. Tenant shall, at its own cost, provide the build-out of the Leased Premises beyond the Landlord’s Work (“Tenant’s Work”). Tenant shall provide Landlord with plans for the alterations, additions and improvements that constitute Tenant’s Work and obtain Landlord’s approval thereof, which approval shall not be unreasonably withheld, conditioned or delayed, prior to commencing the construction and/or installation of such alterations, additions and improvements.
(b) Landlord’s Work. Landlord shall be responsible for constructing and finishing the Leased Premises so as to put the Leased Premises in a “white-box” condition pursuant to the specifications agreed to by the parties and described in Exhibit D, attached hereto and made a part hereof (“Landlord’s Work”). Landlord’s Work shall be completed on or before August 31, 2007. In addition, Landlord shall provide Tenant with a credit toward the cost of Tenant’s Work by either promptly reimbursing Tenant, or directly paying to Tenant’s contractor, the initial Forty Six Thousand One Hundred Seventy Dollars ($46,170) of Tenant’s expenses that are part of Tenant’s Work.
(c) Additional Improvements. Tenant may, after the Rent Commencement Date and at its own cost, make additional improvements to or remodel the existing improvements of the Leased Premises, provided that Landlord gives written consent to such work, which consent Landlord shall not unreasonably withhold, condition or delay.
10. Roof Rights. At no cost to Tenant, Tenant shall have the right to use the roof for installation of its own communications devices. Tenant, at Tenant’s sole cost, shall repair any damage caused by any roof penetration at the installation or removal of such devices. Tenant shall obtain Landlord’s reasonable approval in advance of such installation of any communication devices.
11. Removal of Improvements. All trade fixtures (including built-in fixtures that are removable), equipment, furniture and furnishings installed in or brought upon the Leased Premises by Tenant (including, without limitation, any radioactive materials isolator installed by Tenant), whether or not affixed to the Property, and paid for by Tenant, shall remain the property of Tenant and may be removed by Tenant upon expiration of this Lease or its earlier termination provided that Tenant shall repair any and all damage caused by such removal. Any trade fixtures, equipment, furniture and furnishings not so removed at or prior to the expiration or earlier termination of this Lease shall become the property of Landlord unless Landlord elects to require their removal, in which case Tenant shall promptly remove such items and restore the Leased Premises to its prior condition. Within a one month period after the expiration of this Lease or its earlier termination, Tenant shall, at Tenant’s cost, remove all alterations, additions, and improvements to the Leased Premises described on Exhibit E and shall further install or cause to be retained in the Leased Premises those items of improvements and equipment described on Exhibit E, provided, however, that Tenant’s cost, at commercially reasonable rates, to provide and have a contractor perform the foregoing shall not exceed Fifty-five Thousand Dollars ($55,000) (the “Capped Amount”), and to the extent that the cost to perform the foregoing exceeds the Capped Amount, and Landlord desires that work at a cost beyond the Capped Amount be performed, then Landlord shall pay any additional amounts. In the event that Tenant continues to occupy the Leased Premises for the purpose of removing alterations, improvements and additions and installing improvements and equipment as provided for in the preceding sentence, Tenant shall be deemed to be occupying the Leased Premises under a month-to-month tenancy (and not as a hold-over Tenant under paragraph 24 of this Lease) for such additional period for the limited purpose of effecting such removal and installation, and shall continue to have all of the obligations under this Lease, including payment of rent, during such period. For the purpose of securing Tenant’s performance of its obligation to remove alterations, improvements and additions and to install improvements and equipment as provided for in this paragraph, Tenant shall, by the Rent Commencement Date, either deposit the Capped Amount into an escrow account to be administered pursuant to an escrow agreement acceptable to Landlord and Tenant or provide other collateral reasonably acceptable to Landlord in the form of a cash deposit, a letter of credit or a cash equivalent of the Capped Amount.
- 6 -
12. Space Planning. Landlord shall provide, at its cost and expense, the basic space planning services set forth on Exhibit F. If Tenant retains its own space planner, Tenant will be responsible for the expense of such services.
13. Signage. On or before December 1, 2007, Landlord shall provide shared exterior monument signage. Tenant agrees to pay all costs associated with the application, replacement and upkeep of Tenant’s business name on the shared exterior monument signage. The exterior monument signage will be subject to Landlord’s reasonable approval. Tenant agrees that no other signs or advertising will be attached to or erected upon the Building or Property without City of Madison approval and the written approval of Landlord, which approval will not unreasonably be withheld, conditioned or delayed.
14. Keyed Lock. Upon the Rent Commencement Date, Landlord shall provide a newly keyed lock for the Leased Premises. This lock will be set up for the Landlord’s system and must not be changed. Should Tenant require a change to the keying system, Landlord will arrange to make such change, at Tenant’s own expense.
15. Prior Access. At Tenant’s own risk, Landlord shall provide Tenant with prior access to the Leased Premises during construction of Landlord’s Work for installation of those portions of Tenant’s Work that can be made or completed prior to or concurrently with completion of Landlord’s Work, provided that Tenant’s access shall not interfere with timely completion of Landlord’s Work.
16. Permeation of Offensive Odors and Liquids. Tenant shall maintain the Leased Premises in such a manner that odors of an offensive nature and/or liquids from the Leased Premises will not, in any manner, permeate to other areas of the Building or Property. Tenant shall at its own expense install and maintain exhaust, filtration, or other air management systems as are necessary to prevent permeation of offensive odors and/or liquids from the Leased Premises.
17. Noise. Tenant shall not cause upon the Leased Premises, unreasonable levels of noise which may disturb neighbors or other tenants, taking into consideration the commercial nature of the Building and the surrounding area. Further, Tenant agrees to comply with all City of Madison noise level ordinances.
- 7 -
18. Hazardous Materials. Tenant agrees and covenants that any treatment, storage, or disposal of Environmentally Hazardous Materials by Tenant or its agents on or about the Leased Premises shall fully comply with all laws, regulations, ordinances, and requirements concerning Environmentally Hazardous Materials. For the Purposes hereof, the term “Environmentally Hazardous Materials” shall include, without limitation, any material, waste or substance which is included within the definitions of “hazardous substances,” “hazardous materials,” “toxic substances,” or “hazardous wastes” in or pursuant to any Environmental Laws, or subject to regulation under any Environmental Laws. The term “Environmental Laws” shall include all Laws pertaining to Hazardous Materials or the environment, including, but not limited to each of the following, as enacted as of the date hereof or as hereafter amended: the Comprehensive Environmental Response, Compensation and Liability Act of 1980, 42 U.S.C. §9601 et seq.; the Resource Conservation and Recovery Act of 1976, 42 U.S.C. §9601 et seq.; the Toxic Substance Control Act, 15 U.S.C. §2601 et seq.; the Water Pollution Control Act (also known as the Clean Water Act), 33 U.S.C. §1251 et seq.; the Clean Air Act, 42 U.S.C. §7401 et seq.; and the Hazardous Materials Transportation Act of 1994, 49 U.S.C. §5101 et seq.
Landlord shall indemnify Tenant from any claims, liabilities or damages arising out of Environmentally Hazardous Materials existing in, on, around or below the Leased Premises, Building and Property, except for claims, liabilities or damages arising out of Environmentally Hazardous Materials introduced by Tenant. Tenant shall indemnify Landlord from any claims arising from Tenant’s use of such materials that is not in compliance with all governmental codes and restrictions. Tenant shall also provide for insurance or other method to cover the cost of any cleanup of radiation or other hazardous material upon termination of the Lease.
18.5 Radioactive Materials. Landlord acknowledges that Tenant will use radioactive materials in connection with its occupancy and use of the Leased Premises. Tenant agrees that:
(a) any radioactive materials (other than sealed calibration sources of radioactive materials used to calibrate instruments) used or brought into the Leased Premises by Tenant shall have a half-life of seventy-five (75) days or less;
(b) Tenant shall confine all manufacturing activities involving radioactive materials to a radioactive materials isolator that it shall install and maintain within the Leased Premises;
(c) Tenant shall comply with all applicable laws and regulations (the “Regulations”) of the State of Wisconsin that would govern Tenant’s possession, use and disposal of radioactive materials on the Leased Premises, and shall obtain all licensing required in connection therewith;
(d) Tenant shall make available to Landlord, prior to the Rent Commencement Date, a copy of its radiation plan required by the Regulations; and Landlord understands and agrees that such plan shall only be available for inspection (but not copying) by it, and Landlord further agrees that it shall keep the contents of the plan confidential;
- 8 -
(e) Tenant shall make available to Landlord upon Landlord’s request, but no more frequently than once every six (6) months, copies of all reports, surveys, monitoring results and other information that Tenant is required to maintain in its possession or deliver to any regulatory agency pursuant to the Regulations; and Landlord understands and agrees that such information shall only be available for inspection (but not copying) by it, and Landlord further agrees that it shall keep all such information made available to it confidential, except to the extent that disclosure of such information is required in connection with the enforcement of any provisions of this Lease; and
(f) Prior to the expiration of the term of this Lease, or upon any termination of this Lease by Landlord as a result of a default by Tenant, Tenant shall decommission the Leased Premises, in accordance with the Regulations. If Tenant is unable to complete the decommissioning process prior to expiration of the term of the Lease, Tenant shall be deemed to be occupying the Leased Premises under a month-to-month tenancy (and not as a hold-over Tenant under paragraph 24 of this Lease) for such additional time period as may be necessary to complete the process, and shall continue to have all of the obligations under this Lease, including payment of rent, during such period.
19. Use of Premises. Tenant covenants and agrees that it will comply with all lawful requirements of any governmental health or safety agency or authority, police and fire departments and all other governmental authorities, respecting the use of the Leased Premises and the business activities conducted therein. Tenant agrees that it will not permit anything to be done, used or suffered in or upon the Leased Premises which shall invalidate any insurance or materially increase the premium of any insurance carried by Landlord on the Building. In the event that Landlord’s premiums for any insurance coverage on the Building are increased over and above the normal rates based on the location and type of the Building solely by reason of Tenant’s operations, Tenant agrees to pay the full amount of such increases(s), in addition to any other payments required herein.
20. Landlord’s Right to View Premises and Install “For Sale” Signs. Landlord has the right to enter the Leased Premises at any reasonable time upon reasonable advance notice to inspect the condition of the Leased Premises and/or make repairs, or to exhibit the Leased Premises to prospective purchasers, mortgagors, or lessees, provided that Landlord does not unreasonably interfere with the orderly business of Tenant. Landlord may during the last six (6) months of the Lease term (unless Tenant has exercised its option to extend) place on the Property a sign advertising the Leased Premises for sale or for lease.
21. Unavoidable Delays. Neither Landlord nor Tenant shall be liable for any delay in performance of any covenant or term of this Lease, except the payment of rent or any other sum to be paid hereunder, caused by strikes, riots, acts of God, national emergencies, acts of a public enemy, civil insurrection, difficulty in obtaining materials, or any other causes beyond its control.
22. Condition Upon Termination. Upon expiration or termination of this Lease, for any reason, Tenant shall peacefully return the Leased Premises to Landlord in the same condition as the Leased Premises was in upon completion of the Landlord’s Work and Tenant’s Work, reasonable wear and tear excepted, provided that the removal of any improvements by Tenant shall be governed by the provisions of paragraph 11 of this Lease. In the event Tenant fails to return the Leased Premises to the required condition upon termination of this Lease, Tenant shall fully indemnify and hold harmless Landlord from all losses, costs, damages, and expenses incurred or suffered by Landlord as a result of any undertaking by Landlord to return the Leased Premises to the required condition.
- 9 -
23. Zoning and Regulatory Compliance. Landlord warrants to Tenant that the property on which the Leased Premises is located is zoned for Tenant’s use as administrative offices and a laboratory and manufacturing facility that involves the use of radioactive materials. Landlord further warrants that at the time of the Rent Commencement Date, the Building and its current and anticipated use is in compliance with all applicable governmental laws and regulations (including without limitation, the Americans with Disabilities Act).
24. Holdover. If Tenant remains in possession of the Leased Premises after the termination of this Lease, Tenant shall be deemed to be occupying the Leased Premises as a lessee on a month-to-month basis. Except as otherwise provided in this Lease, (a) the month-to-month tenancy arising under this paragraph shall be on the same terms and conditions as those described in this Lease except that the Base Rent to be paid by Tenant to Landlord shall be One Hundred Twenty-five percent (125%) of the monthly Base Rent payable by Tenant for the last month of the term of this Lease, and (b) nothing in this paragraph shall operate to prevent Landlord from removing Tenant from the Leased Premises upon expiration of this Lease.
25. Security Deposit. Tenant shall deposit with Landlord upon execution of this Lease a Security Deposit equal to the first month’s Base Rent and estimated Shared Expenses ($11,872), to be held as security for the performance by Tenant of its obligations under this Lease. If Tenant defaults in the performance of any of its obligations under this Lease (subject to any applicable notice and cure periods), Landlord may, without prejudice to any other remedy, use the Security Deposit to the extent necessary to make good any arrearages in rent and any other sum for which Tenant is in default and any other damage, injury, expense, or liability caused to Landlord by the default. Landlord shall return the remaining balance of the Security Deposit to Tenant within sixty (60) days after the later to occur of (1) the termination or expiration of this Lease or (2) surrender by Tenant of possession of the Leased Premises to Landlord in accordance with this Lease.
26. Bankruptcy or Default. Tenant agrees that:
(a) if an execution or other process shall be levied against the interest of the Tenant in this Lease, or if a petition in bankruptcy is filed by or against Tenant in any court of competent jurisdiction (and such petition is not dismissed or discharged within ninety (90) days after the date it was filed), or if Tenant makes an assignment for the benefit of creditors, or
(b) if Tenant shall fail to pay the rent, or any other amounts due from Tenant to Landlord under this Lease, at the times above stated, or shall use the Leased Premises or any part thereof contrary to the conditions hereof or shall willfully or maliciously do injury to the Leased Premises, and if Tenant shall fail to cure such default, breach or violation within ten (10) days in the case of a monetary default or thirty (30) days in the case of any other default, breach or violation (or such longer period of time as shall be reasonably required to cure a non-monetary default provided Tenant is diligently pursuing such cure) after receiving written notice thereof from Landlord,
- 10 -
Landlord shall have the right, at its option, to re-enter the Leased Premises, but without prejudice to any remedies which Landlord might otherwise have for arrears of rent or any breach of Tenant’s covenants herein contained, and Landlord may, as agent for Tenant re-let the Leased Premises and hold Tenant liable for the difference between rents and payments that would have been payable during the remainder of the term of this Lease, excluding unexercised extension terms, less any replacement rent Landlord may have received as a result of re-letting the Leased Premises. No re-entry or taking possession of the Leased Premises by Landlord shall be construed as an election on Landlord’s part to terminate this Lease unless a written notice of such intention be given to Tenant or unless the termination of this Lease be decreed by a court of competent jurisdiction. Landlord agrees that if Tenant defaults, Landlord shall use good faith, reasonable efforts to mitigate its damages arising out of such default.
27. Legal Costs. If any action or proceeding is brought by Landlord or Tenant to interpret the provisions hereof or to enforce either party’s respective rights under this Lease, the prevailing party shall be entitled to recover from the unsuccessful party therein, in addition to all other remedies, all costs incurred by the prevailing party in such action or proceeding, including reasonable attorneys’ fees.
28. Delinquent Amounts to Bear Interest. Any rent or such other sums, if any, required to be paid by Tenant to Landlord, or by Landlord to Tenant, pursuant to the terms of this Lease, which are not paid within five (5) days of their becoming due and owing, shall bear interest at the rate of eighteen percent (18%) per annum commencing on the fifth day after such amount is due and continuing until such amount is paid. The payment of such interest shall not excuse or cure any default by either party under this Lease.
29. Subordination. Tenant agrees to subordinate its leasehold interest to the lien of any mortgage Landlord desires to grant in respect to the Leased Premises or the Building, provided that each mortgagee shall agree in writing at the time such subordination is given that so long as Tenant pays the Base Rent and its other financial obligations under this Lease and otherwise performs its duties and obligations under this Lease, or shall rectify any failure within the time and the manner provided in this Lease, then Tenant shall be entitled to the full use and enjoyment of the Leased Premises pursuant to the terms and conditions of this Lease for the initial term of this Lease and each renewal term, as applicable. Tenant shall, upon request by Landlord, execute, acknowledge and deliver to Landlord’s mortgagee any instrument which may be necessary to effect Tenant’s subordination in accordance and upon the terms provided herein.
30. Casualty. In the event that the Building is damaged by fire or other casualty, the same shall be restored by Landlord, at its own expense, with reasonable dispatch. In the event the cost of repairs and restoration exceeds fifty percent (50%) of the full insurable value of the Leased Premises, then either party may terminate this Lease as of the date of destruction or damage by providing written notice to the other party within fifteen (15) days after the date of destruction or damage. Upon the giving of such notice, this Lease shall be terminated and cancelled and the Leased Premises surrendered by Tenant, and any advance rentals which may have been paid by Tenant shall be re-paid to Tenant from and after the date of such damage. If this Lease is not so terminated, Landlord shall restore the structure and exterior of the Building and the Leased Premises and the interior of the Leased Premises (to the extent of the additions, alterations and improvements that would be required to be surrendered to Landlord upon termination of this Lease or that would be required to be removed by Tenant, as described on Exhibit E), at its own expense, within a reasonable time after such destruction or damage. All rents payable to Landlord shall abate during the period of any restoration in proportion to the area of the Leased Premises rendered unusable by reason of such casualty. In the event that the damage or loss to the Leased Premises is a result of Tenant’s negligence, Tenant shall be responsible for the deductible portion of any insurance proceeds and the rent hereunder shall not abate.
- 11 -
In the event that any restoration of the Leased Premises required to be performed by Landlord under this paragraph 30 is not complete within one hundred twenty (120) days from the date of destruction or damage, Tenant may, at its option and upon ten (10) days’ written notice to Landlord, terminate this Lease. Landlord shall not be liable or responsible, and the one hundred twenty (120)-day period mentioned in the preceding sentence shall be extended, for any delays in repairing or rebuilding due to war, strikes, labor unrest or activities, riots, government action, acts of God, inclement weather or any other cause beyond Landlord’s control.
31. Condemnation. In the event the Leased Premises or any part thereof or any portion of the Property shall be taken or condemned for public use by public authorities or conveyed in lieu thereof, so that after such taking, condemnation or conveyance, Tenant’s operations shall be substantially impaired, or, if the Leased Premises shall be structurally altered and cannot be rebuilt by Landlord within one hundred twenty (120) days from the date of the taking, condemnation or conveyance, then Tenant shall have the right to terminate this Lease upon ten (10) days’ written notice, which notice must be given within sixty (60) days after such taking, condemnation or conveyance in case of substantial impairment of Tenant’s operations. In the event any part of the Leased Premises shall be taken or condemned for public use by public authorities or conveyed in lieu thereof, but after such taking, condemnation or conveyance, Tenant’s operations are not substantially impaired, then this Lease shall continue in full force and effect, except that Tenant shall be entitled to equitable adjustment of rent to reflect the reduction of the Leased Premises due to such taking, condemnation or conveyance. Any award for the Leased Premises shall belong to Landlord except Tenant shall not be precluded from receiving a separate leasehold award for the value of the leasehold interest, its leasehold improvements, fixtures and relocation expenses.
32. Hold Harmless. Landlord agrees to and hereby does indemnify and hold harmless Tenant from and against any loss, damage or liability occasioned by or resulting from any default hereunder, or any tortious or negligent act on the part of Landlord, its agents or employees on or about the Property. Tenant agrees to and hereby does indemnify and hold harmless Landlord from and against any loss, damage or liability occasioned by or resulting from any default hereunder, or any tortious or negligent act on the part of Tenant, its agents or employees on or about the Property. These provisions shall have no effect to the extent the indemnitee is reimbursed or indemnified for such loss, damage or liability by an insurance recovery, or to the extent the indemnitee would have been reimbursed or indemnified for such loss, damage or liability by an insurance recovery if the indemnitee had maintained in place such insurance coverage as is required by this Lease.
- 12 -
33. Right of Tenant to Quiet Enjoyment. Landlord covenants that Tenant, upon performing all of the covenants and observing all of the conditions herein contained, shall and may peacefully and quietly have, hold and enjoy the Leased Premises during the term hereof and any extended term. Landlord represents and warrants that, as of the date hereof, Landlord holds title to the Property and the Leased Premises in fee simple absolute, free and clear of any lien or encumbrance whatsoever.
34. Notice. Whenever notice is permitted or required to be given hereunder by any party to any other party, the same shall be in writing and shall be deemed given and received when delivered personally or when deposited postage prepaid in the United States mails, Certified Mail, Return Receipt requested, addressed to the following:
|
IF TO LANDLORD:
|
|
|
Name
|
McAllen Properties, LLC
|
|
Address
|
2695 Gaston Rd.
|
|
Address
|
Cottage Grove, WI 53527
|
|
Phone
|
608 345-4470
|
|
Fax
|
608 839-8501
|
|
E-mail
|
kerry@mcallenproperties.com
|
|
Fed. ID
|
39-1948522
|
|
IF TO TENANT:
|
|
|
Name
|
Cellectar, LLC
|
|
Address
|
545 Science Drive
|
|
Address
|
Madison, WI 53711
|
|
Phone
|
608 441-8120
|
|
Fax
|
608 441-8121
|
|
E-mail
|
bclarke@cellectar.com
|
|
Fed. ID
|
39-1997327
|
or such other name and address as Landlord or Tenant may hereafter notify the other in writing.
35. Assignment. Tenant shall not, either voluntarily or by operation of law, sell, assign, hypothecate or transfer this Lease or sublet the Leased Premises or any part thereof or permit the Leased Premises or any portion thereof to be used or occupied by any other person, firm or corporation, without first obtaining the written consent of Landlord, in each instance, which consent shall not unreasonably be withheld, conditioned or delayed. In the event such consent is given, Tenant shall remain liable to Landlord for the payment of rent and the performance of all other obligations of Tenant hereunder for the remainder of the term of this Lease, but not including any renewal term. Tenant shall have the right, with notification to Landlord, to sublease any portion of the premises to an Affiliate under the same terms of this Lease and any such sublease shall not relieve Tenant from any liability of this Lease.
- 13 -
Any transfer of this Lease by merger, reorganization, recapitalization, consolidation, acquisition of Tenant or Tenant’s assets by another entity, conversion of Tenant to a corporate entity form, liquidation, or any change of the ownership of its outstanding voting equity, shall constitute an assignment for the purposes of the foregoing paragraph unless the collective holders of Tenant’s voting equity prior to such event control at least a majority of the voting equity of Tenant or its successor after such event. Landlord’s consent shall not unreasonably be withheld, conditioned or delayed following any such event that constitutes an assignment, provided the net worth and creditworthiness of the surviving successor entity shall, in Landlord’s reasonable opinion, be at least as favorable as Tenant’s net worth and creditworthiness at the time of the proposed assignment and the nature of the surviving successor entity’s business history, conditions and prospects, type of business and the compatibility of all the foregoing with the other lessees shall be reasonably acceptable to Landlord.
So long as no default shall exist on the part of Tenant, any net rentals collected by Tenant by virtue of an assignment or subletting consented to by Landlord over and above the rentals due from Tenant under the provisions of this Lease shall be shared equally between Tenant and Landlord.
36. Estoppel Certificates. At any time from time to time, Landlord or Tenant within twenty (20) days of the date specified in a request by either party, shall execute, acknowledge and deliver to the requesting entity, or to any other person or entity specified by the other, a certificate that this Lease is in full force and effect; that this Lease has not been amended or modified in any way, or identifying any such amendments or modifications; that there are then existing no known set-offs or defenses against the enforcement of any terms or conditions contained herein, or if such set-offs or defenses are known, specifying the same; that there are no existing defaults hereunder to the knowledge of the party executing such certificate, or specifying the nature of known defaults, if any; and the date to which the rental and other charges hereunder have been paid, and the amounts of each.
37. Governing Law. This Lease shall be governed by and construed in accordance with the laws of the State of Wisconsin.
38. Assigns. This Lease shall bind and inure to the benefit of the parties hereto, their respective heirs, representatives and assigns.
39. No Waiver. Failure of either party to exercise its rights in connection with any breach or violation of any term, covenant or condition herein stated shall not be deemed to be a waiver of such term, covenant or condition or any subsequent breach of the same or any other term, covenant or condition contained in this Lease.
- 14 -
IN WITNESS WHEREOF, the parties hereto set their hands and seals on the day and year first above written.
| LANDLORD: | |||||
| WITNESS: | McALLEN PROPERTIES, LLC | ||||
| By: |
/s/ Jamey Weichert
|
By: |
/s/ Kerry McAllen
|
||
| Print: |
Jamey Weichert
|
Print: | Kerry McAllen | ||
|
|
Title: |
Member
|
|||
| TENANT: | |||||
| WITNESS: | CELLECTAR, LLC | ||||
| By: |
/s/ Jamey Weichert
|
By: |
/s/ William R. Clarke
|
||
| Print: |
Jamey Weichert
|
Print: | William R. Clarke | ||
|
|
Title: |
Chief Executive Officer
|
|||
- 15 -
EXHIBIT A
See attached.
- 16 -

- 17 -
EXHIBIT B
See attached.
- 18 -

- 19 -
EXHIBIT C
“White-Box” Specifications for the Leased Premises
1. 5” thick concrete slab.
2. Insulation, vapor barrier, and fire-taped drywall on exterior walls and demising walls.
3. All utility lines necessary to provide services to the Leased Premises.
- 20 -
EXHIBIT D
“White-Box Specifications for the Adjacent Space”
1. One 200 amp 120/208 volt electrical panel with a 75 KVA transformer.
2. 5” thick concrete slab.
3. Six (6) 400 watt high-bay light fixtures (Tenant will receive a credit of $350 each for lights that are not wanted).
4. One gas-fired unit heater with associated gas piping (metered from Tenant’s main space gas meter).
5. Insulation, vapor barrier, and fire-taped drywall on exterior walls and demising walls.
6. Two ceiling fans with speed controls.
7. 10 duplex receptacles around perimeter walls.
8. All utility lines necessary to provide services to the Adjacent Space.
- 21 -
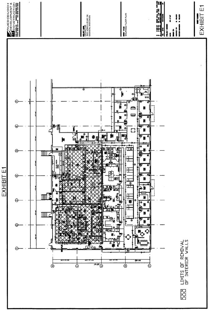
EXHIBIT E
Alteration, Additions and Improvements
Tenant shall remove all interior walls in the cross-hatched area shown on Exhibit E-1 and the surface of all damaged concrete flooring shown in such cross-hatched area and shall replace all such concrete flooring that is removed with new concrete flooring of equivalent thickness to the flooring that was removed.
In addition, Tenant shall install the following in such cross-hatched area:
1. One 400 watt high-bay light fixture per 600 square feet of space in the Leased Premises.
2. One gas-fired unit heater.
- 22 -
EXHIBIT E-1
See attached.
- 23 -

- 24 -
EXHIBIT F
Planning Services
Landlord shall provide Tenant with basic office/warehouse space planning services consisting of ten (10) hours of architectural/engineering drafting time at $85.00 per hour.
- 25 -
LEASE EXTENSION AGREEMENT
This Agreement is entered into between McAllen Properties, LLC (“Landlord”) and Cellectar, Inc., formerly Cellectar, LLC (“Tenant”).
WHEREAS, Landlord and Tenant are parties to a certain Lease entered into as of September 5, 2007 (the “Lease”) for the premises described therein; and
WHEREAS, Tenant holds a Certificate of Deposit in the original principal amount of Fifty-Five Thousand Dollars ($55,000) (the “CD”), acquired for the purpose of securing Tenant’s performance of certain work upon termination of the Lease, as provided for in paragraph 11 of the Lease; and
WHEREAS, Tenant has not exercised its option to extend the term of the Lease, and but for this Agreement, the Lease would otherwise expire on September 14, 2010;
NOW, THEREFORE, for good and valuable consideration, the parties agree as follows:
1. Capitalized terms used in this Agreement shall, unless otherwise defined herein, have the respective meanings ascribed to them in the Lease.
2. The term of the Lease shall be extended through December 31, 2010. All of the terms and provisions of the Lease shall apply throughout such extended term, except as otherwise set forth herein.
3. Each monthly installment of the total of the Base Rent, the additional rent for the “expandable square feet” pursuant to paragraph 5 of the Lease, and the Shared Expenses (collectively, the “Rent”) for the period from June 1, 2010 through December 31, 2010 shall be one-half of the amount of the monthly installment of Rent in effect for May, 2010.
4. During the extended term of the Lease, Tenant may terminate the Lease as of the end of any calendar month upon at least ten (10) days advance written notice.
5. Provided that Tenant has not terminated the Lease as provided for in paragraph 4, above, and further provided that Tenant is not then in default under the Lease, as extended and amended hereby, Tenant may elect to extend the term of the Lease for the remainder of the initial two-year extended term that would have been in effect had Tenant timely exercised its initial right to extend the term of the Lease. Tenant shall make such an election by giving Landlord written notice thereof not later than December 15, 2010. At the time that Tenant makes such an election and as a condition thereof, Tenant will be required to pay to Landlord the difference between (a) the aggregate amount of Rent that would have been payable for the period from June 1, 2010 through December 31, 2010 had Tenant timely exercised its initial right to extend the term of the Lease and had this Agreement not been in effect and (b) the amount of Rent actually paid by Tenant for that same period, together with interest at the rate of 10% per annum on the accruing amount of such difference over such period. If Tenant makes the election set forth in this paragraph to further extend the term of the Lease for the balance of the initial two-year extended term, then the amount of Rent for the period from January 1, 2011 and thereafter shall be as set forth in the Lease, calculated without regard to the effect of this Agreement, and all other terms and provisions of the Lease shall continue in full force and effect, without regard to the effect of this Agreement.
- 26 -
6. In the event that Tenant either terminates the Lease as provided for in paragraph 4, above, or fails to extend the term of the Lease as provided for in paragraph 5, above, then (a) Tenant shall deliver to Landlord the CD, together with such duly executed documents of assignment as are necessary to transfer to Landlord the CD and all of Tenant’s rights thereunder, and upon such delivery, Tenant shall be relieved of all of its obligations to perform the removal of the alterations, improvements and additions and the installation of the improvements and equipment to the Leased Premises, as provided for in paragraph 11 of the Lease, and (b) Landlord may retain as additional rent any remaining balance of the security deposit provided for in paragraph 25 of the Lease, after reducing the same for any rent arrearages or other damages resulting from a default by Tenant.
7. Tenant’s obligation to “decommission” the Leased Premises in accordance with sub-paragraph 18.5(f) of the Lease upon any termination or expiration of the Lease shall continue to apply to any termination or expiration occurring on or before December 31, 2010, and Tenant shall in good faith attempt to comply with such obligation prior to the effective date of any such termination or expiration; provided, however, that in the event of a termination or expiration of the Lease on or before December 31, 2010, if Tenant cannot complete the decommissioning process prior to the effective date of such termination or expiration of the Lease, Tenant’s occupancy of the Leased Premises solely for the purpose of completing the decommissioning process shall not give rise to a month-to-month tenancy or any further obligations for the payment of rent to Landlord.
8. In the event that Tenant either terminates the Lease as provided for in paragraph 4, above, or fails to extend the term of the Lease as provided for in paragraph 5, above, then that portion of paragraph 8 of the Lease that provides for a reconciliation, within ninety (90) days of the end of each calendar year, of the actual Shared Expenses against the estimated Shared Expenses, and a payment from or to Tenant for the difference, shall not be effective for the 2010 calendar year.
Executed August 4, 2010, but effective as of June 1, 2010.
| McAllen Properties, LLC | |||
|
|
By:
|
/s/ Kerry McAllen | |
| Kerry McAllen, Member | |||
| Cellectar, Inc. | |||
| By: | /s/ William R. Clarke | ||
| William R. Clarke, Chief Executive Officer | |||
- 27 -
AMENDMENT TO LEASE EXTENSION AGREEMENT
This Agreement is entered into between McAllen Properties, LLC (“Landlord”) and Cellectar, Inc. (“Tenant”).
WHEREAS, Landlord and Tenant are parties to a certain Lease entered into as of September 5, 2007 (the “Lease”) for the premises described therein and a certain Lease Extension Agreement (the “Extension Agreement”) entered into as of June 1, 2010; and
WHEREAS, Landlord and Tenant desire to amend the Extension Agreement as provided herein;
NOW, THEREFORE, for good and valuable consideration, the parties agree as follows:
1. Paragraph 2 of the Extension Agreement shall be amended as follows:
The reference to December 31, 2010 therein shall be changed to March 31, 2011.
2. Paragraph 3 of the Extension Agreement shall be amended as follows:
The reference to December 31, 2010 therein shall be changed to March 31, 2011.
3. Paragraph 5 of the Extension Agreement shall be amended as follows:
The reference to December 15, 2010 in the second sentence thereof shall be changed to March 15, 2011; the reference to December 31, 2010 in the third sentence thereof shall be changed to March 31, 2011; and the reference to January 1, 2011 in the last sentence thereof shall be changed to April 1, 2011.
4. Paragraph 7 of the Extension Agreement shall be amended as follows:
The two references to December 31, 2010 therein shall be changed to March 31, 2011.
5. Paragraph 8 of the Extension Agreement shall be amended as follows:
The reference to the 2010 calendar year therein shall be changed to the 2010 and 2011 calendar years.
6. All terms and provisions of the Extension Agreement that are not amended as provided herein shall continue in full force and effect.
7. This Agreement may be executed in two or more counterparts, each of which shall be deemed an original, but all of which together shall constitute one and the same document. Any counterpart may be delivered by facsimile or other form of electronic transmission and the delivery of a copy or digital image of an executed original or counterpart of this Agreement shall have the same force and effect as the delivery of an executed original.
- 28 -
Dated as of December 13, 2010.
| McAllen Properties, LLC | |||
|
|
By:
|
/s/ Kerry McAllen | |
| Kerry McAllen, Member | |||
| Cellectar, Inc. | |||
| By: | /s/ Jamey P. Weichert | ||
| Jamey P. Weichert, Interim President and Chief Executive Officer | |||
- 29 -
SECOND AMENDMENT TO LEASE EXTENSION AGREEMENT
This Agreement is entered into between McAllen Properties, LLC (“Landlord”) and Cellectar, Inc. (“Tenant”).
WHEREAS, Landlord and Tenant are parties to a certain Lease entered into as of September 5, 2007 (the “Lease”) for the premises described therein, a certain Lease Extension Agreement (the “Extension Agreement”) entered into as of June 1, 2010, and a certain Amendment to Lease Extension Agreement (the “First Amendment”) entered into as of December 13, 2010; and
WHEREAS, Landlord and Tenant desire to further amend the Extension Agreement as provided herein;
NOW, THEREFORE, for good and valuable consideration, the parties agree as follows:
1. The references to March 31, 2011 in Paragraphs 1, 2, 3 and 4 of the First Amendment shall be changed to May 31, 2011.
2. The reference to March 15, 2011 in Paragraph 3 of the First Amendment shall be changed to May 15, 2011; and the reference to April 1, 2011 in Paragraph 3 of the First Amendment shall be changed to June 1, 2011.
3. All terms and provisions of the First Amendment that are not amended as provided herein shall continue in full force and effect.
4. This Agreement may be executed in two or more counterparts, each of which shall be deemed an original, but all of which together shall constitute one and the same document. Any counterpart may be delivered by facsimile or other form of electronic transmission and the delivery of a copy or digital image of an executed original or counterpart of this Agreement shall have the same force and effect as the delivery of an executed original.
Dated as of March 4, 2011.
| McAllen Properties, LLC | |||
|
|
By:
|
/s/ Kerry McAllen | |
| Kerry McAllen, Member | |||
| Cellectar, Inc. | |||
| By: | /s/ Jamey P. Weichert | ||
| Jamey P. Weichert, Interim President and Chief Executive Officer | |||
- 30 -
ELECTION TO EXTEND TERM OF LEASE
McAllen Properties, LLC
2695 Gaston Rd.
Cottage Grove, WI 53527
This Election is made pursuant to the Lease between McAllen Properties, LLC (“Landlord”) and Cellectar, LLC, dated September 5, 2007 and modified by a Lease Extension Agreement dated as of June 1, 2010, an Amendment to Lease Extension Agreement dated as of December 13, 2010, and a Second Amendment to Lease Extension Agreement dated as of March 4, 2011 (collectively, the “Lease”).
Since the date that the Lease was entered into, Cellectar, LLC, the original tenant under the Lease, (i) converted into a corporation and changed its name to Cellectar, Inc., and (ii) merged with and into Cell Acquisition Corp. As a result of the merger, the rights of Cellectar, Inc. as tenant under the Lease were assigned to Cell Acquisition Corp., which assignment was consented to by Landlord as of April 1, 2011. Since the date of that assignment, Cell Acquisition Corp. has changed its name to Cellectar, Inc., which is currently the “Tenant” under the Lease.
Pursuant to the terms of the Lease, Tenant hereby elects to extend the term of the Lease for the remainder of the initial two-year extended term that commenced September 15, 2010 and that continues through September 14, 2012. Tenant has delivered to Landlord, concurrent with the making of this election, the amount of Rent deferred under the Lease for the months of June, 2010 through April, 2011, together with interest thereon, and will pay Rent for the period commencing May 1, 2011 as set forth in the Lease, calculated without regard to the Lease Extension Agreement or the Amendments thereto referred to above.
Effective as of April 15, 2011.
Cellectar, Inc.
- 31 -
ACCEPTANCE AND ACKNOWLEDGEMENT
McAllen Properties, LLC hereby (i) accepts in all respects the above Election to Extend Term of Lease; (ii) acknowledges receipt of Tenant’s payment referred to above; and (iii) accepts this payment in satisfaction of the condition in the Lease that a specified payment of Rent, together with interest thereon, be made at the time of Tenant’s election to extend the term of the Lease.
McAllen Properties, LLC hereby also acknowledges that the Lease is in full force and effect in accordance with its terms, including but not limited to Tenant’s options to further extend the term of the Lease pursuant to paragraph 4 thereof (captioned “Options to Extend”).
Effective as of April 15, 2011.
| McAllen Properties, LLC | |||
|
|
|
/s/ Kerry McAllen | |
| By: Kerry McAllen, Member |
- 32 -